İlginizi Çekebilir
Adıyaman’da ki TOKİ Projeleri için ‘acele kamulaştırma’ kararı
Adıyaman’da ki TOKİ Projeleri için ‘acele kamulaştırma’ kararı
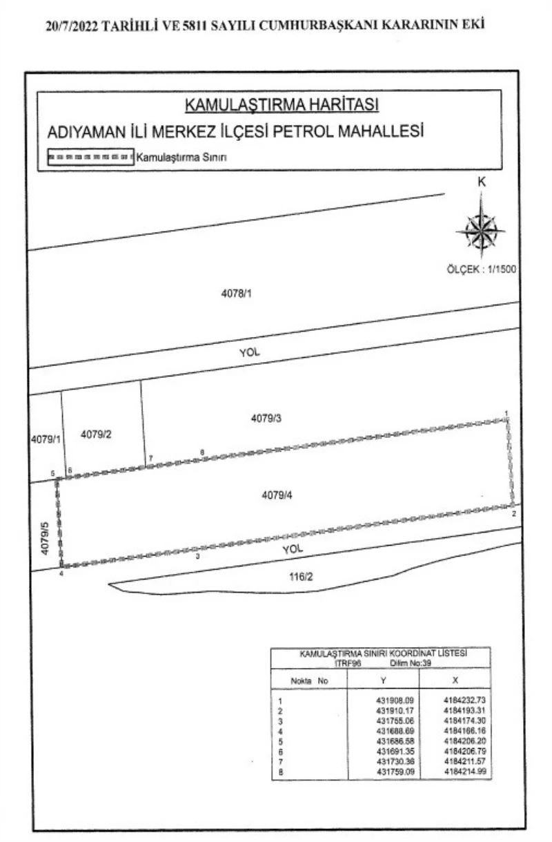
Cumhurbaşkanı’nın Adıyaman merkez Petrol Mahallesi’ndeki ‘100 bin sosyal konut’ projesi için acele kamulaştırma kararı Resmi Gazete’de yayınlandı.
Cumhurbaşkanı Recep Tayyip Erdoğan’ın, Toplu Konut İdaresi Başkanlığı (TOKİ) tarafından Adıyaman’da yapılacak olan konut alanındaki bazı taşınmazların acele kamulaştırılması ile ilgili kararı Resmi Gazetede yayımlandı.
Petrol Mahallesinde bulunan 116/2, 4079/1, 4079/2, 4079/3, 4078/1 ada ve parsellerin kamulaştırılması için karar yayımlandı.
Resmi Gazete’de, “Adıyaman’da Petrol Mahallesi sınırları içerisinde bulun ve ekli harita sınırları ile ada ve parsel numarası belirtilen taşınmasın “100 bin sosyal Konut Projesi” çercevesinde Toplu Konut İdaresi Başkanlığı tarafından acele kamulaştırılmasına, 2942 sayılı Kamulaştırma kanunun 27’nci maddesi gereğince karar verilmiştir” denildi.
Cumhurbaşkanı Recep Tayyip Erdoğan’ın, Toplu Konut İdaresi Başkanlığı (TOKİ) tarafından Adıyaman’da yapılacak olan konut alanındaki bazı taşınmazların acele kamulaştırılması ile ilgili kararı Resmi Gazetede yayımlandı.
Petrol Mahallesinde bulunan 116/2, 4079/1, 4079/2, 4079/3, 4078/1 ada ve parsellerin kamulaştırılması için karar yayımlandı.
Resmi Gazete’de, “Adıyaman’da Petrol Mahallesi sınırları içerisinde bulun ve ekli harita sınırları ile ada ve parsel numarası belirtilen taşınmasın “100 bin sosyal Konut Projesi” çercevesinde Toplu Konut İdaresi Başkanlığı tarafından acele kamulaştırılmasına, 2942 sayılı Kamulaştırma kanunun 27’nci maddesi gereğince karar verilmiştir” denildi.
Anahtar Kelimeler:
adıyaman’da
ki
toki
projeleri
için
‘acele
kamulaştırma’
kararı







