Kestane ağacı düşmanı gal arısına karşı “Gladyatör böcek”

Kestane ağacı düşmanı gal arısına karşı “Gladyatör böcek”

Kestane ağacı düşmanı gal arısına karşı “Gladyatör böcek”

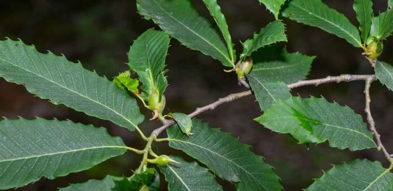
Bartın ve Zonguldak Ormanlarının bin 500 hektarlık kısmında bulunan kestane ağaçlarında 1,5 ay önce tespit edilen gal arısı ile mücadele için zararlının doğal düşmanı olan ve “Gladyatör böcek” olarak adlandırılan Torymus Sinensis isimli böceklerin laboratuar ortamında üretimine başlandı.
Zonguldak Orman Bölge Müdürlüğü tarafından 20 Mayıs tarihinde Bartın ve Zonguldak’taki bin 500 hektarlık alanda bulunan kestane ağaçlarında tespit edilen gal arısına karşı başlatılan mücadele devam ediyor. Bu zamana kadar Zonguldak’ın Devrek İlçesi Alparslan Köyü, Muslu Beldesi, Şirinköy, Kurtköy, Göbü ve Türkali Köyleri ile Bartın’ın Büyükkızılkum, Güzelcehisar mevki’inde toplam 1395 hektar alandaki kestane ağaçlarında tespiti yapılan gal arısı ile mücadelede bütün ekipler seferber olmuş durumda.
Drone destekli yapılan mücadelelerde gal arısının yumurtasını bıraktığı yapraklar kesilerek temizleniyor. Kestane ağaçlarında verimi düşüren zararlıya karşı diğer yandan da Zonguldak’ın Gökçebey ilçesinde bulunan Orman Zararlılarıyla Mücadele Teşhis ve Tanı Laboratuvarında biyolojik mücadele ile ilgili çalışmalar devam ediyor. Bu kapsamda laboratuvar ortamında üretilen ve gal arısının doğal düşmanı olan Torymus Sinensis isimli böcekler 2021 yılının Şubat ayından itibaren belirlenen alanlara bırakılacak.
Zonguldak Orman Bölge Müdürü Zekeriya Beyazlı, Torymus Sinensis isimli böceklerin gal arısının yapraklara bıraktığı yumurtayla beslendiğini ve bu yıl yumurtlama döneminin geçtiği için sadece mekanik mücadele yapabildiklerini belirtti.
Laboratuvardaki çalışmaları gazetecilerle birlikte inceleyen Beyazlı, kestane ağaçlarına zarar veren gal arısı zararlısı için Torymus Sinensis isimli böceği üreteceklerini ve 2021 yılının ocak ayından itibaren doğaya salacaklarını söyledi.
Beyazlı, “20 Mayıs’ta görevli arkadaşlarımız taramayı yapıp bunu test ettikten sonra bu zararlıya karşı nasıl bir mücadele yaparız çalışmasını başlatarak arkadaşlarımız biyolojik mücadele ve mekanik mücadele metotlarını önerdiler. Bilinen başka da metot yok. Ancak biyolojik mücadele metodu için üretilecek yırtıcı süreci teknik olarak başlatılamadı. Zira yumurta, lavra ve ergin dönemi önceki aylara dayanan bir süreç. Dolayısıyla mekanik mücadele metodu ile beraber, arkadaşlarımız Bartın’da, Zonguldak’ta görünen bütün mahallerde mekanik mücadele metodunu başlattılar. Halen de devam etmekte. Biyolojik mücadele ile de ilgili yapabileceğimiz, bundan sonraki yıllarda mücadele etkinliğini artırmak için laboratuvarda altlıklarımız oluşturuldu. Arkadaşlarımız Yalova’da yıllardan beri bu mücadeleyi yapan meslektaşları ile beraber eğitime gönderildi. Bütün bu, gerek biyolojik mücadele süreci, gerekse mekanik mücadele süreci Bartın Orman Fakültesi hocalarımız, Bartın ve Zonguldak Tarım ve Orman İl Müdürlüğü yetkilileri dahil olarak müştereken yürütülmektedir” dedi.
Beyazlı ayrıca gal arısının etkin olduğu alanın bin hektar civarında olduğunu da sözlerine ekledi.

Gal arısı
Halk arasında ’’Katil arı’’ olarak adlandırılan gal arıları Türkiye’de ilk olarak 2014 yılında Yalova’da görüldü. Anavatanı Çin olan, zararlı gal arısı Yalova’nın ardından da İzmit ve İstanbul’da görüldü. Arı son olarak Zonguldak ve Bartın ormanlarında tespit edildi.


Güncel 2.07.2020 10:24:57 0

İlginizi Çekebilir

1

Adana'da kaybolan kadın için arama çalışması başlatıldı

2

Kahramanmaraş'ta silahlı kavgada 1 kişi ağır yaralandı

3

Hatay'da çocuklar için teravih namazı sonrası etkinlik düzenlendi

4

Amed Sportif Faaliyetler-Serikspor maçının ardından

5

Milli judoculardan Ümitler Avrupa Kupası'nda 2 madalya

6

Antalya'da evde çıkan yangın hasara neden oldu

7

Antalya'da ağaca çarpan otomobildeki 2 kişi öldü

8

Hatay'da uyuşturucu operasyonlarında yakalanan 5 şüpheli tutuklandı

9

Hatay'da Yeşilay Haftası kapsamında bisiklet turu düzenlendi

10

Antakya Medeniyetler Korosu Hatay'da konser verdi